RECENT POSTS:
-
Continue reading →: Ashford Pollinator Pathway at the Daylily FestivalAshford’s first Daylily Festival was held on Saturday, July 5th, 2025. The weather was perfect, with low humidity and bright sunshine filtering through the trees on the beautiful grounds of Westford Hill Distillers. We were on site to promote pollinator pathways to anyone who would listen! Jennifer was stationed inside…
-
Continue reading →: Ashford Pollinator Pathway Table at Summer’s PaletteThe Ashford Arts Council did it again, attracting a fantastic turn-out to the annual Summer’s Palette arts festival at Westford Hill Distillers on June 28th. It was cold and dreary at the beginning of the day, but the artists, poets, performers, and attendees braved the dubious weather to experience another…
-
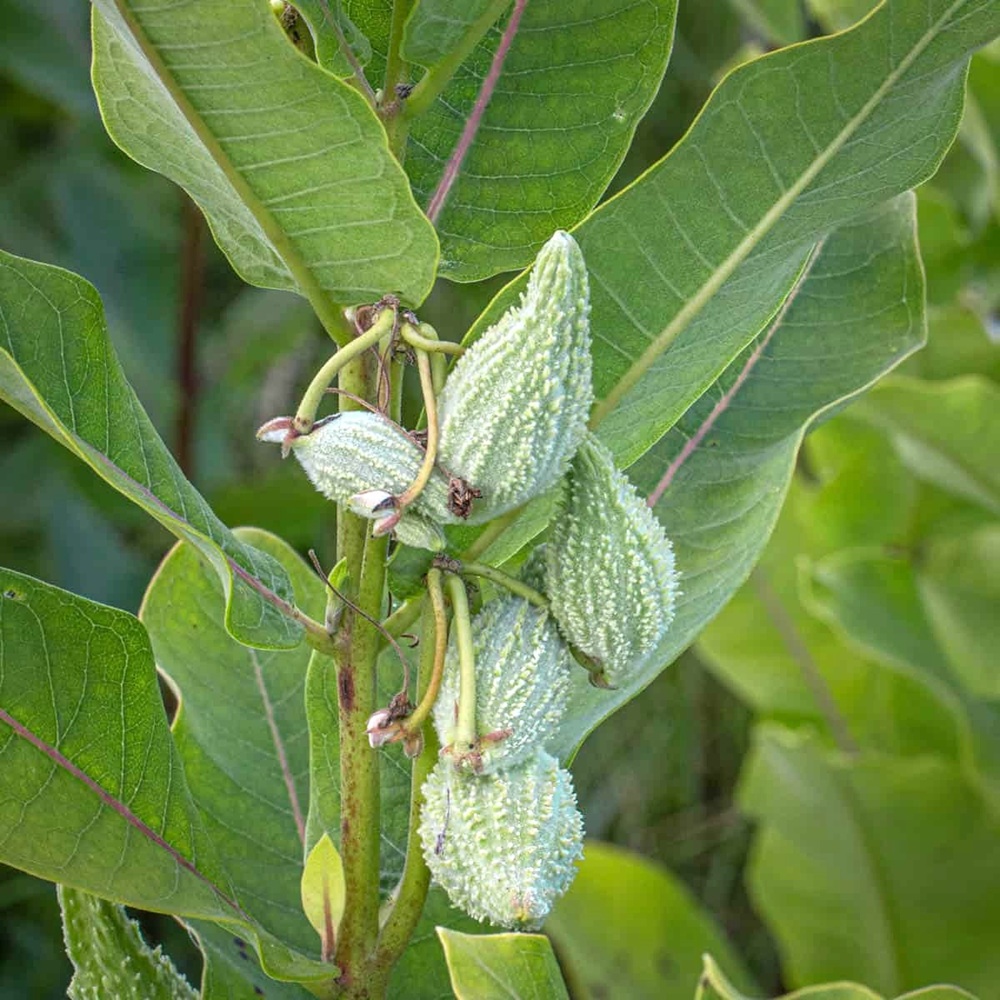
Continue reading →: Eating Your Milkweed PodsPlant Asclepias syriaca in your garden, and feed not only monarch cats, but also yourself!
-
Continue reading →: Ashford Pollinator Pathway News, June 2025Making mistakes is a natural part of native plant gardening, also called Ecological Gardening, because it’s a relatively new gardening practice. Traditional gardening practices involved large lawns (an ecological dead-zone) & stripping out native plants to make way for exotic foreign & cultivated varieties.
-
Continue reading →: Ashford PP presented the “Dos and Don’ts of Native Plant Gardening” at the Willington LibraryApril 19, 2025 – We had a great turnout! Jennifer Sterling-Folker, the chair of our Ashford PP steering committee, delivered an entertaining and informative presentation, as always. The question and answer session after the presentation was interactive and thought-provoking as well. And when there wasn’t an easy answer to a…





